Melissa Kasırgası’nın Karayipler’de yarattığı yıkım sonrası ABD, afet yardımında 24 milyon dolarlık destek sağlayarak kritik bir adım attı.

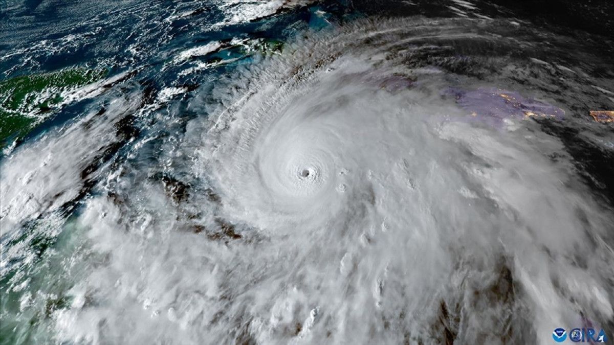
Karayipler bölgesinde meydana gelen Melissa Kasırgası, bölgede büyük bir yıkıma yol açmış durumda. Bu kasırga, sadece doğa olaylarının bir sonucu değil, aynı zamanda insan hayatını etkileyen, sosyal ve ekonomik açıdan da ciddi sonuçlar doğuran bir felaket olarak karşımıza çıkmaktadır. Kudos to the United States Department of State, which has swiftly responded to the disastrous outcomes of this hurricane by announcing a fund to assist the affected countries. Bu fonun, özellikle barınma, su temini, hijyen, gıda ve acil sağlık hizmetleri gibi temel ihtiyaçların karşılanması amacıyla kullanılacağı ifade edilmiştir.

Öncelikli olarak Jamaica, Haiti, Bahamalar ve Küba gibi ülkeler için toplam 24 milyon dolar acil durum yardımı ayrılacağı açıklanmıştır. Bu yardımlar, durumu düzeltmek ve insanların hayatlarını kurtarmak üzere önemli bir adım. Jamaika’daki Afet Yardım Müdahale Ekibi, bölgedeki durumu en iyi şekilde değerlendirme ve ihtiyaçları doğru bir biçimde belirleme çalışmaları yapmaktadır. Bu tür yardımlar, sadece bölgedeki acil durumu gidermekle kalmaz, aynı zamanda yerel halkın moralini de yükseltir.
BÖLGEDE SON DURUM
Kasırga nedeniyle bölge genelinde çok sayıda olumsuz gelişme yaşandı. Şiddetli yağışlar, fırtınalar ve selle birlikte, Küba Devlet Başkanı Miguel Diaz Canel, ülkedeki 735 binden fazla kişinin tahliye edildiğini kamuoyuna duyurmuştur. Bu tahliyelerin, insanların yaşamını korumak adına ne kadarAcılı ve zor bir durumun yaşandığını göstermektedir. Tahliyeler sırasında, birçok insanın evlerini terk etmek zorunda kalması, bölgede sosyal açıdan büyük bir travmaya neden olmuştur.

Küba’da can kaybı hakkında henüz net bir bilgi verilmemiş olsa da, Karayipler genelinde yaşanan can kaybı rakamı 49 olarak açıklanmıştır. Bu sayı, kasırganın yıkıcı etkisini daha da net bir şekilde ortaya koymaktadır. Bu tür doğal afetler, her zaman olduğu gibi, insanların hayatını tehdit ederken, aynı zamanda altyapı, tarım ve yerel ekonomiye de büyük zarar vermektedir.
Bundan sonraki süreçte, uluslararası toplum ve kuruluşlar, bu tür afetlerin önlenmesi, etkilerinin azaltılması ve felaket sonrası toparlanma için daha fazla çaba göstermelidir. Unutulmamalıdır ki, sadece acil durum yardımları değil, aynı zamanda uzun vadeli sürdürülebilir çözümler de şarttır. Bu felaketten ders alarak, gelecekte benzer olaylara karşı daha hazırlıklı olmalıyız.






















Yorum Yap